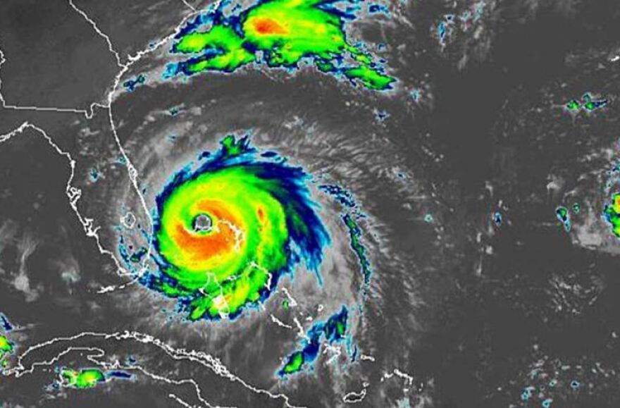
Hurricane Dorian’s blue-sky eye was ringed with fire as it crawled toward the Northern Bahamas — spiked with lightning in a wreath of thunderstorm updrafts.
For scientist Stephanie Stevenson, who was collecting images of the historic tropical cyclone from the U.S.’s first space-based lightning tracker, the riot of sparkles was a clue that researchers hope will save lives when the most frightening of hurricanes brew.
Rapid intensifiers, storms that grow by 35 mph or more in a 24-hour period, are still the most challenging to predict, and a threat that some believe will increase in a warming world.
RELATED: Is Climate Change Fueling More Intense, Stalling Hurricanes?
In 2018, just three of 18 cases of rapid intensification were accurately forecast. An evaluation of 2019 storms is still underway.
“The lightning mapper has the most potential for forecasting rapid intensification and that’s something that we don’t do very well,” said National Hurricane Center technology and science branch chief Mark DeMaria, who is working with Stevenson. “The original thought was that more lightning would mean more intensification, but Stephanie’s work has shown it’s more subtle than that.”
The landmark lightning detector she is using was carried into orbit in 2016 on the Geostationary Operational Environmental Satellite, or GOES East. It provides uniform, near real time information on lightning over land and ocean. The satellite’s sibling, GOES West, was launched in 2018 with the same advanced equipment to cover the western portion of the U.S. and the Pacific Ocean.
Lightning far from a storm’s center could mean intensification
The two satellites are the most recent in a series that were first launched in 1975. Geostationary means they orbit Earth, keeping pace with the planet’s spin. Their budget, which includes two more satellites that will launch before 2036, is $10.8 billion.
Previous to the new satellites, lightning was tracked only by ground-based systems, leaving forecasters nearly blind in the open ocean or areas where equipment is sparse.
RELATED: Seas Are Rising. It Rains More. How Much Of That Is Making Hurricanes Worse?
“We’ve been amazed by the lightning mapper,” said Derrick Herndon, a hurricane satellite specialist at the University of Wisconsin Cooperative Institute for Meteorological Satellite Studies in a May interview. We’ve had lightning systems before but they didn’t have the resolution this mapper has and this is doing a much better job of tracking how lightning changes in the storms.”
Stevenson, who works for the Cooperative Institute for Research in the Atmosphere at Colorado State University, has been studying lightning activity in tropical cyclones for seven years. She is currently based at the National Hurricane Center working on how to include new satellite data to improve forecasting.
What she’s discovered, including that the pattern of lightning strikes in a storm is as important as the number, will be used in a forecast model during the 2020 hurricane season.
Also noteworthy is how an eruption of lightning on one side of a storm could mean it’s in an environment where wind shear is working against the cyclone, forcing the system to become lopsided and possibly weaken.
On the other hand, lightning a few hundred miles away from the center of a storm could be an indication that the environment is primed for intensification, putting forecasters on notice that strengthening is possible.
As with Dorian, 2018′s Category 5 Hurricane Michael had a circle of lightning in its eyewall as it strengthened at the coast of Florida’s Panhandle.
“Just by itself, you can get mixed signals, so you have to look at it in context,” DeMaria said. “You have to study it carefully to get the signal we are looking for.”
As #HurricaneDorian approached the #AbacoIslands, NOAA's #GOESEast zoomed in on the powerful storm's eye. The Cat. 5 storm's "maximum winds have increased to near 175 mph with gusts over 200 mph," according to @NHC_Atlantic. Follow the storm: https://t.co/VDEWvXtPxt pic.twitter.com/wLnZjJJYMO— NOAA Satellites (@NOAASatellites) September 1, 2019
Intensity forecasting saw little improvement between the 1980s into the early 2000s, DeMaria said.
Technology has improved intensity forecasting up to 25 percent
But technological advances and money dedicated following the devastating 2004 and 2005 hurricane seasons has helped improve intensity forecasting between 20 and 25 percent in the past decade.
“The trend on intensity is upward in skill, but still disappointingly small,” said MIT atmospheric science professor Kerry Emanuel. “Unfortunately, the rapid intensification phenomenon itself gets worse when you warm the climate.”
The strongest hurricanes in recent years — Matthew, Harvey, Irma, Maria, Florence, Michael and Dorian — underwent bouts of rapid intensification.
In the nine hours before landfall in the Northern Bahamas, Dorian’s winds jumped from 150 mph to 185 mph.
“None of the forecasts anticipated the rate of rapid intensification that was observed (in Dorian),” said Brian McNoldy, a senior research associate for the University of Miami’s Rosenstiel School of Marine and Atmospheric Science.
The view inside the “stadium” eye of Category 5 #HurricaneDorian today from the #NOAA42 “Kermit” Hurricane Hunter @NOAA_HurrHunter pic.twitter.com/wHjR7GgPRs— HRD/AOML/NOAA (@HRD_AOML_NOAA) September 1, 2019
Dorian overcame dry Saharan air early in its development, and then avoided the island terrain of Puerto Rico and Hispaniola that may have disrupted strengthening.
“At that point, nothing stood in its way,” McNoldy said.
Hurricane Maria in 2017 increased from a Cat 1 storm to a Cat 5 in 24 hours. Michael, in 2018, experienced at least two jolts of rapid intensification, including one that took it from a Cat 2 to a Cat 4 before making landfall as a 160-mph Cat 5. Irma grew from a tropical storm to a Cat 2 hurricane in a day, before eventually reaching Cat 5 strength.
Stronger the hurricane, more likely there will be lightning
In general, lightning in hurricanes is unusual in that it relies on winds racing skyward, carrying ice crystals that collide high in the atmosphere to form a spark. Hurricane winds are horizontal, but those winds are driven by the heat released by rotating thunderstorms.
The stronger the thunderstorms, the more likely there will be lightning.
DeMaria said he doesn’t want to “paint an overly optimistic picture” on the future of intensity forecasting, but sees progress that will continue with the new lightning mapper.
“It’s not until you can look at a lot of cases that you can understand the subtle correlation between lightning and what a storm is doing,” he said. “Even if we don’t always understand why a pattern leads to rapid intensification, we can use it to make a forecast better.”
This story was produced in partnership with the Florida Climate Reporting Network, a multi-newsroom initiative founded by the Miami Herald, the South Florida Sun Sentinel, The Palm Beach Post, the Orlando Sentinel, WLRN Public Media and the Tampa Bay Times.
Copyright 2019 WUSF Public Media - WUSF 89.7